
El gobernador Greg Abbott ha ordenado preparativos en todo el Estado de Texas para la llegada de la tormenta tropical Beryl, que se espera que llegue al estado el lunes a primeras horas de la mañana. Más detalles en las próximas líneas…
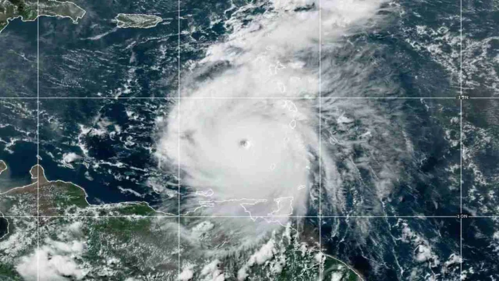
Beryl, que alcanzó la categoría 5 en el Caribe, se ha debilitado a tormenta tropical pero se espera que se fortalezca nuevamente en las cálidas aguas del Golfo de México antes de tocar tierra en Texas.

Preparativos en marcha ante amenaza del huracán Beryl en Texas
La División de Manejo de Emergencias de Texas (TDEM) ha elevado su nivel de respuesta de emergencia y se están desplegando recursos a las áreas afectadas. Se ha ordenado una evacuación voluntaria para la zona del Coastal Bend y se están distribuyendo sacos de arena en áreas propensas a inundaciones.
Amenaza de lluvias e inundaciones
La principal amenaza para Texas con Beryl son las fuertes lluvias e inundaciones repentinas. Las autoridades instan a los residentes a estar preparados para posibles inundaciones y a seguir las instrucciones de los oficiales locales.
Descubre más desde Lisandro Torres al dia
Suscríbete y recibe las últimas entradas en tu correo electrónico.