octubre 10, 2024

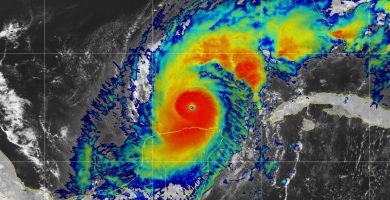
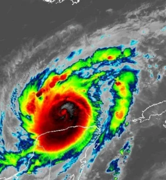
Huracán Milton disminuye a categoría 3, pero amenaza con inundaciones catastróficas en Florida
octubre 9, 2024

Texas envía ayuda a Florida ante la inminente llegada del huracán Milton
octubre 9, 2024

Huracán Milton: Emergencia en Florida, se esperan tornados y marejadas ciclónicas devastadoras
octubre 9, 2024

Madre de niño con parálisis cerebral pide ayuda para mejorar su calidad de vida en Sabana Grande de Boyá
octubre 9, 2024

Indomet anuncia lluvias y tormentas eléctricas para este miércoles en varias provincias
octubre 9, 2024

Rumores de separación sacuden el matrimonio de Daddy Yankee y Mireddys González
octubre 9, 2024

Haití denuncia ante la OEA «Política Inmoral» de repatriaciones masivas de RD
octubre 9, 2024

Primera lectura de Reforma Constitucional prohíbe la reelección presidencial
octubre 9, 2024

Fallece leyenda del voleibol dominicano Ana Celina Sánchez Robiou
octubre 9, 2024

Florida se prepara para un impacto «catastrófico» del Huracán Milton
octubre 8, 2024

Organización #HaitíRD denuncia «cacería humana» de haitianos en República Dominicana
octubre 8, 2024

🔴ÚLTIMA HORA | El Huracán Milton vuelve a alcanzar la categoría 5 y va rumbo a Florida
octubre 8, 2024

Huracán Milton se convierte en una amenaza de devastación económica histórica
octubre 8, 2024

Hombre asesina a su pareja frente a su hijo de dos años en Rancho Viejo Sabaneta
octubre 8, 2024

Canciller haitiana condena enérgicamente deportaciones masivas desde República Dominicana
octubre 8, 2024

COE emite alerta verde para diez provincias por sistema de baja presión
octubre 7, 2024

Reforma fiscal dominicana impulsará asistencia social y aumentos salariales
octubre 7, 2024

EN VIVO: Presidente Abinader presenta su propuesta de reforma fiscal
octubre 7, 2024

El Huracán Milton alcanza la categoría 5 y azota la costa de Florida
octubre 7, 2024

Huracán Milton se intensifica a categoría 3, amenazando el sureste de México
octubre 7, 2024

Asesinan al alcalde de Chilpancingo una semana después de asumir el cargo (FOTOS CRUDAS)
octubre 7, 2024

Vaguada y fuertes vientos provocarán lluvias y tormentas en gran parte del país
octubre 7, 2024

Fallece la Dra. Miguelina Toribio, referente de la cardiología dominicana
octubre 7, 2024

Haitiano en situación crítica tras rechazo de deportación voluntaria en Santiago
octubre 7, 2024

Huracanes en la región no representan ninguna amenaza para la República Dominicana
octubre 6, 2024

Escándalo sacude a Bolivia: Evo Morales investigado por violación de una menor
octubre 6, 2024

Cientos de dominicanos protestan en la Plaza de la Bandera por la inmigración haitiana
octubre 6, 2024

Luego de 8 meses el asesinato de Paula Santana Escalante sigue sin resolverse
octubre 6, 2024

Fénix FC, primer equipo de fútbol transgénero de Europa, debuta con derrota pero hace historia
octubre 6, 2024

Tormenta Tropical Milton se intensifica y amenaza con impacto de huracán mayor
octubre 6, 2024

Yailin «La Más Viral» impacta con nuevos ojos grises tras queratopigmentación
octubre 5, 2024

Antigua Orden lidera protestas masivas contra la inmigración haitiana en RD
octubre 5, 2024



